| 手術日記(写真) |

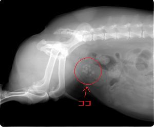
レントゲンで見た膀胱結石。
小さい結石が何個もあるのが分かります。
| お腹を開いて、膀胱を取りだした状態です。 |
![]() |
専用の器具を使い、結石を取り出しています。 |
| 取り出した結石です。 のちに、検査センターで成分の分析をし、再発しないように療養食の指導をしています。 |
他のワンちゃんの膀胱結石です。
| 手術日記(写真) |

| お腹を開いて、膀胱を取りだした状態です。 |
![]() |
専用の器具を使い、結石を取り出しています。 |
| 取り出した結石です。 のちに、検査センターで成分の分析をし、再発しないように療養食の指導をしています。 |